













Prodaja, Zemljište, Za investiciju, Grad Zagreb, Podsljeme, Šestine
Gramača
Dodaj u omiljene
Kreditni kalkulator
Kreditni kalkulator
ID I26387
Detalji
Vrsta usluge
Prodaja
Vrsta nekretnine:
Zemljište
Površina
1313 m2
Površina parcele
1313 m2
Lokacija
Šestine
Dokumentacija
Građevinska dozvola
415.000 €
Opis
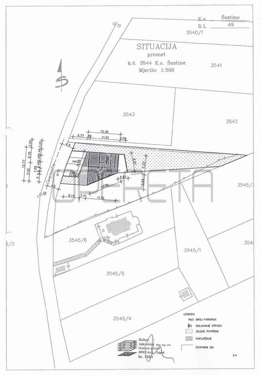
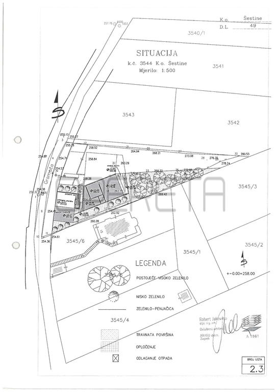
PRODAJA, GRAĐEVINSKO ZEMLJIŠTE 1.313m² SA GRAĐEVINSKOM DOZVOLOM ZA 2X450m², GRAMAČA, ZAGREB
Građevinska parcela površine 1.313 m² s građevinskom dozvolom za više stambeni objekt 2x450 m² BRP uz podmiren komunalni doprinos. Parcela se sastoji od dvije katastarske čestice.
Zemljište se nalazi na zapadnoj sunčanoj padini Šestinskog Vrha u blizini zelene zone s pogledom na centralni i zapadni predio Zagreba.
Atraktivna lokacija koja pruža mir i osjećaj diskrecije u okolici obiteljskih kuća, vila te veleposlanstava. Okoliš bogat zelenilom i šumom.
U blizini sjecišta pod sljemenskih cestovnih pravaca (Mikulići, Sveti Duh, Šestinski dol, Vrhovec, Pantovčak, Gornje Prekrižje, Tuškanac, Mlinovi). U samoj blizini je nekoliko dječjih vrtića, osnovnih i srednjih škola. Projekt predviđa 6 stanova (kvadrature od 95 do 145 m²) u dvije polu ugrađene kuće (sjeverna i južna).
Moguće su promjene unutar zadanih okvira, također okrupnjavanja više stanova u jedan veći.
Izvrsno je orijentacijski pozicioniran (jug i zapad) čime pruža obilje dnevne svjetlosti tijekom cijelog dana.
Građevinsko zemljište ima sve komunalne priključke uz pristup na ulicu Gramača, a gradnja je planirana samo sa sjevero-istočne strane ulice (s druge strane ulice je zelena zona).
Komunalije, osigurana dostupnost:
- gradski plin, struja, voda, kanalizacija
- telekom. instalacije
- prometnica
Stanje:
- uredan vlasnički list (bez tereta, pogodan za kredit)
- pravomoćna građevinska dozvola na temelju opisanoga, uz podmiren komunalni doprinos - projekt je spreman za realizaciju.
Priključci
Struja
Voda
Kanalizacija
Plinovod
Lokacija
Kalkulator kredita

Janko Godec