










PRODAJA ZEMLJIŠTA, REMETE, GOSPOČAK, 601M2.
Gospočak
Dodaj u omiljene
Kreditni kalkulator
Kreditni kalkulator
ID I35428
Detalji
Vrsta usluge
Prodaja
Vrsta nekretnine:
Zemljište
Površina
601 m2
Površina parcele
601 m2
Lokacija
Remete
190.000 €
Opis
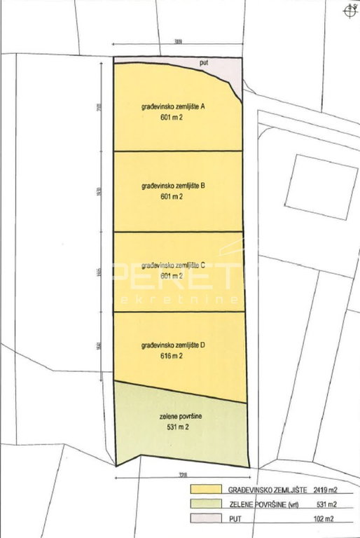
PRODAJA ZEMLJIŠTA, REMETE, GOSPOČAK, 601M2.
Prodaje se odlično, pravilno zemljište blagog nagiba za izgradnju urbane vile ili obiteljske kuće maksimalne površine 400 BRP-a.
Odlična, mirna pozicija na kraju slijepe ulice. Južna orjentacija i lijep pogled prema gradu.
Sve komunalije odmah kraj parcele.
Mogućnost kupnje dodatnih parcela slične kvadrature.
Priključci
Struja
Voda
Kanalizacija
Plinovod
Lokacija
Kalkulator kredita

Ivan Karatović